Super Typhoon Ragasa Bears Down on Hong Kong: Public Urged to Stay Out of the Water
Hong Kong is bracing for the appearance of Super Typhoon Ragasa, an important storm set to unleash fierce winds and dangerous swell within the coming 24 hours.
Authorities have sounded the alarm as the megacity prepares for what could be one of the most violent tropical systems of the time.
The Hong Kong Observatory( HKO) hoisted the Standby Signal No. 1 at 12.20 pm on Monday and is anticipated to raise the Strong Wind Signal No. 3 by 9.40 pm.
Foretellers advise that the storm could consolidate further, with a Gale or Storm Signal No. 8 likely between 1 pm and 4 pm on Tuesday as conditions deteriorate swiftly.
Against this background, Secretary for Culture, Sports, and Tourism Rosanna Law Shuk-pui has issued a direct and emotional plea to the public, prompting them to avoid all water sports and littoral conditioning.
“This isn’t about issuing fines,” she emphasised. “The risk extends to our police, fire services, and Civil Aid Service colleagues who would be tasked with your rescue… There have been instances in the past where rescue personnel sacrificed their lives.”
Law delivered her warning during a radio broadcast on Monday, with particular concern over those tempted to surf despite the incoming storm.
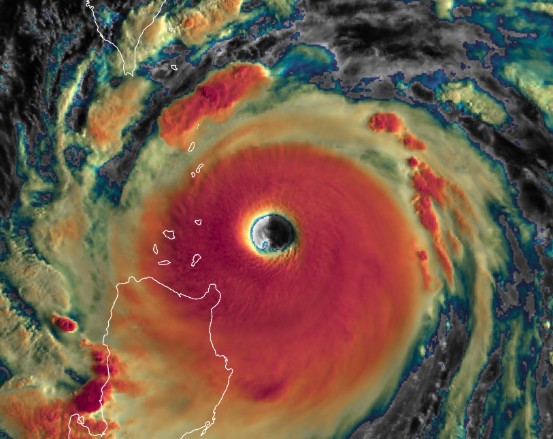
The International Space Station just flew right over the eye of Super Typhoon Ragasa.
Spectacular view from space. pic.twitter.com/vuRiySmkUD
— Nahel Belgherze (@WxNB_) September 22, 2025
She reminded residents that surfing is already banned at Leisure and Cultural Services Department (LCSD) beaches, but said the danger now goes far beyond simple rule-breaking. “This is a matter of life and death,” she stressed.
The HKO predicts towering swells and violent swells as Ragasa approaches, posing a serious threat to insensibility, browsers, and anyone venturing near the water.
All LCSD strands will display red flags once the Strong Wind Signal No. 3 is in effect, signaling a strict no- no-swimming order.
Super Typhoon Ragasa, churning westward across the South China Sea, has gained transnational attention for its sheer size and strength.
With Hong Kong now forcefully in its path, residents are rushing to secure their homes and stock up on rudiments ahead of the anticipated rush.
Authorities have also advised against gratuitous trips and prompted boat owners to support levees or return vessels to safe harbours before the storm closes in.
Emergency services remain on high alert as evacuation centres prepare to open if demanded. For Hongkongers, the communication is simple but critical stay outdoors, stay safe, and steer clear of the seacoast.
The coming 24 hours will be critical as Super Typhoon Ragasa barrels closer to the home.



