Hurricane Melissa Slams into Eastern Cuba as Category 3 Storm After Devastating Jamaica
Hurricane Melissa, a monstrous Category 3 storm, has roared ashore in eastern Cuba, bringing torrential rains, strong winds, and fears of disastrous flooding across the region.
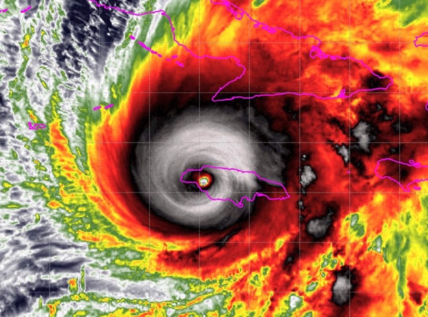
The U.S. National Hurricane Center verified that Melissa made landfall near the littoral megacity of Chivirico, west of Santiago de Cuba, early Wednesday morning.
The storm arrived with sustained winds of 115 mph( 185 kph), lashing the eastern businesses and churning northeast at a steady pace of 12 mph( 19 kph).
Melissa struck just hours after leaving Jamaica in ruins, having battered the island with winds topping 185 mph (295 kph), one of the fiercest Atlantic hurricanes ever recorded.
Authorities in Cuba had moved swiftly before impact. Hundreds of thousands were evacuated from at-threat zones to temporary harbors across the provinces of Granma, Santiago de Cuba, Guantánamo, Holguín, and Las Tunas.
A hurricane warning remains active for those regions, as well as for the southeastern and central Bahamas, where the storm is anticipated to move later in the day.
Hurricane Melissa’s extreme Category 5 eyewall, rapid core disintegration over Jamaica, and subsequent rapid reintensification on approach to southeastern Cuba. Landfall is ongoing 20 mi/32 km west of Santiago de Cuba. pic.twitter.com/Pu94GlCMuD
— Amelia Urquhart ️⚧️ (@ameliaUrquhart_) October 29, 2025
Forecasters have urged residents to stay sheltered, stressing that preparations in the Bahamas “should be rushed to completion.”
Heavy rain is now pounding Cuba’s eastern regions, with forecasts warning of up to 20 inches (51 cm) of rainfall and a storm surge reaching 12 feet (3.6 meters) in some coastal areas.
“Numerous landslides are likely in those areas,” cautioned Michael Brennan, director of the U.S. National Hurricane Center in Miami.
The agency added that the patient’s downfall could spark life-threatening flooding and dangerous mudslides across Cuba’s mountainous terrain.
The storm’s appearance couldn’t have come at a worse time. Cuba is currently reeling from a severe economic crisis marked by energy dearths, blackouts, and dwindling food and energy inventories.
President Miguel Díaz-Canel addressed the nation on state TV, pledging full support for those affected.
“There will be a lot of work to do. We know there will be a lot of damage,” he said, adding that “no one is left behind and no resources are spared to protect the lives of the population.”
He urged citizens to remain cautious, warning against complacency. “The strongest ever to hit national territory,” he said of Hurricane Melissa, calling for unity and resilience in the face of disaster.
Classes across eastern and central Cuba have been suspended since Monday, with government brigades on standby for delivery and recovery sweats.
In Jamaica, the fate is grim. The storm left entire communities submerged, trees and power lines torn down, and thousands displaced.
Desmond McKenzie, deputy president of Jamaica’s Disaster Threat Management Council, reported that the corridor of Clarendon and St. Elizabeth was devastated, the ultimate described as being “ aquatic. ”
Hospitals weren’t spared. Four medical installations sustained damage, with one losing power and forcing the evacuation of 75 cases. As of late Tuesday, further than half a million guests remained without electricity.
officers hope to renew airfields by Thursday to expedite relief distribution and restore essential services.
Melissa’s rampage across the Caribbean has already claimed seven lives, three in Jamaica, three in Haiti, and one in the Dominican Republic. Another person remains missing in the Dominican Republic, according to local authorities.
The storm’s coming target the Bahamas, where it’s anticipated to retain hurricane strength before potentially brushing Bermuda by late Thursday. A hurricane watch is now in effect there.
Meteorologists prognosticate that Hurricane Melissa will gradually weaken as it crosses Cuba, but advise it’ll still pack a dangerous punch as it churns over the warm Atlantic waters.



