Tag: Hurricane Melissa

Hurricane Melissa Hits Eastern Cuba as Category 3 Storm

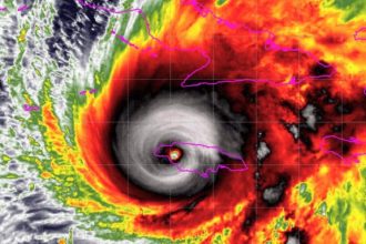
Hurricane Melissa Slams into Eastern Cuba as Category 3 Storm After Devastating Jamaica Hurricane Melissa, a monstrous Category…

Hurricane Melissa Strikes Jamaica with Deadly Force

“Unprecedented devastation” as Hurricane Melissa batters Jamaica The Caribbean island of Jamaica is reeling after the brutal impact…

By Elena

US Air Force Captures Rare View Inside Hurricane Melissa

U.S. Air Force Dives into the Heart of Hurricane Melissa, Rare Glimpse Inside Nature’s Fury The U.S. Air…