Tropical Storm Melissa Pummels Caribbean Islands as Major Flooding Threat Looms
Tropical Storm Melissa has made its way through the Caribbean, bringing heavy rain and dangerous conditions to several islands.
As it continues to churn westward, the storm is raising admonitions for Jamaica and southern Hispaniola, with officers advising of potentially life-threatening flooding and the threat of landslides.
On Thursday, Tropical Storm Melissa boosted, leaving authorities scrabbling to prepare for its full force. In the Dominican Republic, dozens of residents have formerly sought refuge in emergency harbors.
Seminaries, businesses, and government services in the nine businesses under alert were forced to close. further than half a million people had their water force disrupted as dozens of systems were knocked offline.
Bordering Jamaica, the government is taking no chances. An aggregate of 881 harbors is on standby to accommodate residents in need. Courts were closed, and seminaries switched to remote classes to avoid a gratuitous threat.
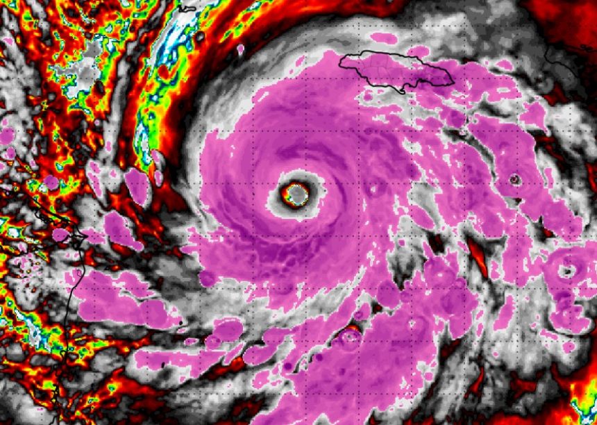
Evan Thompson, director of Jamaica’s Met Service, warned that eastern parts of the island could see up to 12 inches (30 centimeters) of rainfall.
“Now that is significant rainfall, and that is the main thing that we should be mindful of at this time,” he said, adding that the storm’s slow movement will exacerbate the threat.
The rainfall is anticipated to worsen over the coming many days. Tropical Storm Melissa is ready to bring analogous downfall to the southern regions of Haiti and the Dominican Republic. Localized cloudbursts could consolidate, depending on the storm’s shifting path.
Western Jamaica, southern Hispaniola, Aruba, and Puerto Rico are also in the storm’s sights. This has raised deep concerns in Haiti, which has historically been destroyed by storms.
The country’s ongoing struggles with gang violence, poverty, and weak governance mean that disaster preparedness is far from acceptable.
As of late Wednesday night, the storm was clocking sustained winds of 50 mph( 85 kph) and moving westward at a sluggish pace of 2 mph( 4 kph), according to the U.S. National Hurricane Center.
By this time, Melissa was located roughly 335 long hauls( 535 kilometers) south-southwest of Port-au-Prince, Haiti, and about 295 long hauls( 475 kilometers) south-southeast of Kingston, Jamaica.
The storm is anticipated to strengthen in the coming days, with foretellers prognosticating it could become a full-fledged hurricane by Friday, and conceivably indeed a major hurricane by Sunday.
“Unfortunately, it is becoming increasingly likely that Melissa will become a large and dangerous hurricane,” warned the U.S. National Hurricane Center.
Tropical Storm Melissa is not only the 13th named storm of the 2025 Atlantic hurricane season but also the first to form in the Caribbean this year.
The National Oceanic and Atmospheric Administration (NOAA) had previously predicted an above-average hurricane season, with between 13 and 18 named storms, of which 5 to 9 were expected to become hurricanes, including 2 to 5 major hurricanes.
As the season runs through to November 30th, experts are urging residents in the Caribbean and southeastern United States to remain vigilant and prepared for further storms.
The full impact of Tropical Storm Melissa remains to be seen, but the ongoing threats of flooding and strong winds have already prompted widespread precautions across the region.



