Storm Melissa Set to Slam Jamaica, Strongest Hurricane Ever Recorded on the Island
Jamaica stands on edge tonight as Hurricane Melissa, a monstrous Category 5 system, barrels towards the island, threatening to become the most powerful storm in Jamaica’s recorded history.
The storm, packing sustained winds of nearly 175mph, is anticipated to make landfall early Tuesday, cutting transversely across the islet, entering St Elizabeth Parish in the south before exiting around St Ann Parish in the north.
Foretellers have advised that the impact will be disastrous, and recovery could take months.
In an emergency address, Prime Minister Andrew Holness sounded a grim warning: “There is no infrastructure in the region that can withstand a category five. The question now is the speed of recovery. That’s the challenge.”
Government Officers verified that every palladium possible has been taken, harbors opened, hospitals prepared, and exigency crews stationed. Yet, the sense of dread is unmistakable.
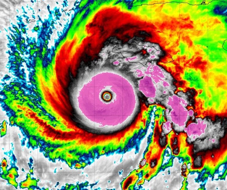
The US Air Force captured a rare aerial glimpse inside Hurricane Melissa, offering a chilling perspective of its power and size.
#Melissa is an absolute beast on satellite..an absolute majestic category 5 storm drawing in to west/central Jamaica. Jamaicans will be in my thoughts today as Melissa makes landfall, and I am hoping everyone is united and can make it through. pic.twitter.com/Jnt7VRcXJF
— Matthew Ferreira (Dua Lipa PFP) | MassachusettsWx (@MassachusettsWx) October 28, 2025
Indeed, before the storm’s core reached Jamaica, landslides, pulled trees, and wide knockouts were reported.
A life-hanging storm swell of over 13 feet is anticipated along the southern seacoast, prompting critical evacuation calls in low-lying communities.
Health Minister Christopher Tufton confirmed that hospitals along the coastline had moved vulnerable patients to upper floors: “(We) hope that will suffice for any surge that will take place.”
Despite evacuation orders, many families are choosing to ride out the storm at home. Evan Thompson, principal director of Jamaica’s Meteorological Service, offered reassurance, saying: “We will get through it together.”
But on the ground, fear is palpable. Colin Bogle, a Mercy Corps adviser near Kingston, shared: “Many have never experienced anything like this before, and the uncertainty is frightening.
There is profound fear of losing homes and livelihoods, of injury, and of displacement.”
As the storm closes in, Water and Environment Minister Matthew Samuda urged residents to conserve supplies: “Every drop will count.”
The minister verified that over 50 exigency creators are ready for deployment once conditions allow, a pivotal move, as the islet braces for widespread power failures.
So far, seven deaths across the Caribbean have been linked to Melissa, three in Jamaica, three in Haiti, and one in the Dominican Republic. Another person remains missing.
The storm’s destructive path is anticipated to continue toward eastern Cuba later on Tuesday, before pushing into the Bahamas by midweek.
Authorities in Cuba have formally begun evacuating further than 600,000 people, with heavy rain and flooding anticipated.
For Jamaica, Storm Melissa is further than a rainfall event; it’s a public test of abidance. The destruction is anticipated to be vast, but so too is the resoluteness of its people.
In the words of a local resident sheltering near Montego Bay, “We’ve faced storms before. But this one… this one feels different.”



