Tag: Storm Melissa

Storm Melissa Devastates Jamaica in Record Hurricane

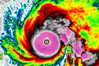
Storm Melissa Set to Slam Jamaica, Strongest Hurricane Ever Recorded on the Island Jamaica stands on edge tonight…