Ireland Weather Alert: Hurricane Humberto’s Remnants Could Bring Turbulent Conditions
Ireland is bracing for an imminent blast of stormy rainfall as the powerful Hurricane Humberto churns across the Atlantic.
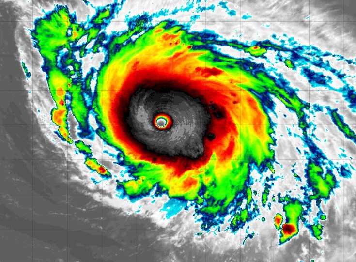
While the order 5 hurricane will lose strength before reaching European waters, its remnants could still steer a spell of wet, windy conditions towards the islet later this week.
The US National Hurricane Center has issued alerts for the Virgin Islands, Puerto Rico, Bermuda, and parts of the US east coast as Humberto tracks northwestward.
Though the system is expected to downgrade to an ex-hurricane by the time it nears Europe, Irish forecasters are keeping a close eye on its path.
Met Éireann admitted there is “a good deal of uncertainty” surrounding the storm’s influence on the coming week’s forecast.
A mix of heavy rain, mild air, and blustery winds is already on the cards from Tuesday, but the exact impact of Humberto’s leftovers may not be clear until next weekend.
In an update on X, meteorologist Alan O’Reilly of Carlow Weather warned that Humberto “needs watching,” stressing that the system could still pack a punch if it swings close enough to Ireland.
Hurricane #Humberto is now a category 5 hurricane! An impressive looking hurricane but track needs watching as remnants could impact our weather in a weeks time. pic.twitter.com/OBWqTwS5nU
— Carlow Weather (@CarlowWeather) September 27, 2025
Wet Week Ahead
Regardless of Humberto’s exact track, Ireland faces a dreary few days. After a fairly calm Sunday and Monday, conditions will deteriorate as a string of Atlantic fronts moves in.
- Monday: substantially cloudy with many bright spells in the east. Light rain or mizzle will drift in from the west. Daytime highs of 14–17°C.
- Tuesday: A damp, overcast day. Rain and drizzle are widespread, with temperatures climbing to 14–18°C.
- Wednesday & Thursday: More persistent rain, heaviest in the west and southwest. Breezy conditions and mild air continue.
- Friday into the weekend: Unsettled, with frequent downpours and strong gusts at times.
Atlantic on the Move
This turbulent setup is classic autumn in Ireland: mild southerly winds, frequent rainfall, and spells of gusty weather.
Even without Humberto’s added energy, the week promises a return to the soggy pattern seen earlier in September.
Meteorologists say ocean face warmth across the Atlantic could feed redundant humidity into approaching rainfall systems, raising the threat of heavier rainfall.
However, Ireland could see stronger fits and wide cloudbursts late in the week, if Humberto’s remnants combine with these fronts.
For now, foretellers prompt residents to stay alert for updates and to plan around changing conditions.
Humberto’s leavings may no longer be a hurricane, but as Ireland knows too well,ex-tropical storms can still pack a serious punch.



